توقعات الفلكي محسن عيفة لعام 2026: مصر ستفقد فنان كبير
توقع الفلكي العالمي محسن عيفة، خلال إطلالته في رأس السنة،…
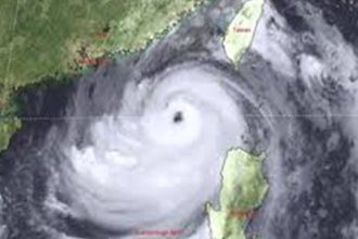
توقعات محسن عيفة تتحقق: أمطار غزيرة وفيضانات تضرب المغرب
أعلن الفلكي العالمي محسن عيفة خلال توقعاته الخاصة برأس السنة…
دوري أبطال افريقيا : طاقم تحكيم جزائري لمباراة الترجي والملعب المالي
يواجه الترجي الرياضي التونسي يوم الأحد 8 فيفري 2026 بداية…
صفاقس: رصد 4.2 مليون دينار لتأهيل المسلخ البلدي وتحويله إلى نموذج وطني
تم خلال جلسة عمل انتظمت اليوم الأربعاء 4 فيفري 2026…
قابس : اندلاع حريق في غابات شط السلام
اندلع مساء الأربعاء حريق كبير بمنطقة شطّ السلام من ولاية…
منظمة الصحة العالمية : 4 من كل 10 حالات إصابة بالسرطان في العالم يمكن الوقاية منها
أظهرت دراسة عالمية جديدة لمنظمة الصحة العالمية ووكالتها الدولية لبحوث…
النائب العام الليبي يؤكد مقتل سيف الإسلام القذافي متأثرا بإصابته بأعيرة نارية
أكد مكتب النائب العام الليبي، في ساعة مبكرة من صباح…
خليل العياري ينتقل رسميا إلى باريس سان جيرمان
أكد بدر الدين ناصف الناطق الرسمي للملعب التونسي أن نادي…
الهاشمي الجندوبي أفضل مدرب تايكواندو في العالم
اختار الاتحاد الدولي للتايكواندو، التونسي الهاشمي الجندوبي أفضل مدرب تايكواندو…
رابطة أبطال إفريقيا: برنامج مباريات الجولة الخامسة
ستجرى أيام الجمعة 6 والسبت 7 و الأحد 8 فيفري…
